溢价率2.6%,歙县1宗住宅用地成交!!
焦点黄山 2024-09-09 09:02:27
用手机看
扫描到手机,新闻随时看
扫一扫,用手机看文章
更加方便分享给朋友
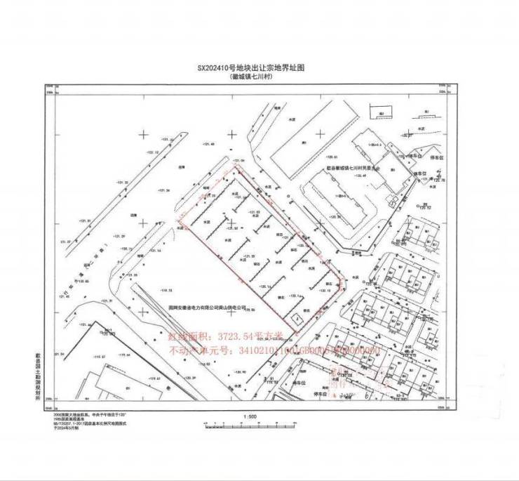
2024年9月6日,歙县徽城镇七川村住宅地块成交,由歙县徽城镇七川村股份经济合作社竞得,成交总价1306.9625万元,出让面积3723.54㎡(合5.59亩),成交楼面价1755元/㎡,溢价率2.6%。地块…
2024年9月6日,歙县徽城镇七川村住宅地块成交,由歙县徽城镇七川村股份经济合作社竞得,成交总价1306.9625万元,出让面积3723.54㎡(合 5.59 亩),成交楼面价1755元/㎡,溢价率2.6%。

地块详情:
歙县Sx202410号地块挂牌,宗地位于徽城镇七川村,土地性质为住宅用地,出让总面积:3723.54㎡(合5.59亩),起始总价:1273.4507 万元,起始单价:3420元/㎡(合 228 万元/亩),起拍楼面地价:1710元/㎡。

声明:本文由入驻焦点开放平台的作者撰写,除焦点官方账号外,观点仅代表作者本人,不代表焦点立场。



