祁门祁红国际大酒店南侧1宗73.39亩商住用地挂牌
扫描到手机,新闻随时看
扫一扫,用手机看文章
更加方便分享给朋友
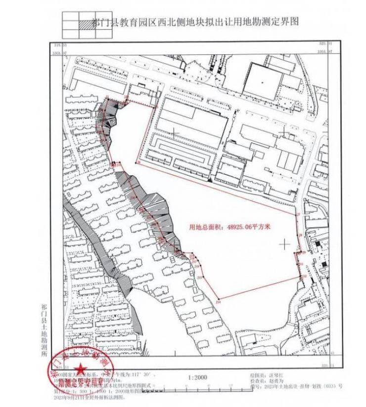
10月20日,祁门县祁红国际大酒店南侧商住用地挂牌,宗地位于祁红国际大酒店南侧 ,出让总面积48925.06㎡(合73.39亩),出让总价7000万元,容积率1.0-1.8 ,其中商业建筑面积占总建筑面积的比例不超过5%。拍卖时间2023年11月20日15:30。

公告原文:
经祁门县人民政府批准,祁门县自然资源和规划局委托黄山市公共资源交易中心以挂牌方式出让以下宗地的国有建设用地使用权。现将有关事项公告如下:
一、挂牌出让地块的基本情况和规划指标要求
二、竞买人资格及条件
QMX202324号地块的竞买人须为具有房地产开发二级及二级以上资质的公司法人,除因拖欠土地成交价款等行为被纳入土地市场不良行为记录档案或国家法律法规另有规定外,均可参加报名本次挂牌出让。申请人均需单独申请,不接受联合申请。
有下列行为之一的竞买人及其股东,其违法违规违约行为在处理结案和问题查处整改到位前,不得申请:
①存在伪造公文骗取用地和非法倒卖土地等犯罪行为的;
②存在非法转让土地使用权或非法占用土地行为等违法行为的;
③此前已取得土地使用权,因企业原因造成土地闲置一年以上的;
④开发建设企业违背出让合同约定条件开发利用土地的;
⑤此前曾取得土地但至今仍违约拖欠土地成交价款的;
⑥有恶意串通参与土地竞价行为的;
⑦被各社会信用系统列为失信行为联合惩戒对象,限制或禁止其竞买国有土地的;
⑧其他存在违法违规违约用地行为的。
三、本次国有建设用地使用权挂牌出让为有底价挂牌出让,即设有底价,不达底价不成交,本次出让以不低于底价的价高者得原则确定竞得人。
四、竞买申请
(一)本次挂牌出让地块的详细资料见《挂牌出让文件》,竞买申请人可登录黄山市公共资源交易中心门户网(http://ggzy.huangshan.gov.cn)下载。
(二)竞买申请人须于2023年10月20日8时至2023年11月20日16时前进行网上报名申请。
1、办理CA数字证书。办理流程详见黄山市公共资源交易中心网站首页—服务指南—投标人专区《关于企业办理CA证书和证书延期的一次性告知书》,CA数字证书有关问题请拨打服务电话: 0559-2351030(工作日)。
2、报名申请。凭CA数字证书登录黄山市公共资源交易中心网上交易系统,点击所要参与竞买的地块,提交报名资料。
(三)申请人须于2023年11月17日前到祁门县自然资源和规划局权益和利用股(祁门县学前街3号)提交书面报名材料进行预审,申请材料一式两份,然后凭CA数字证书登录黄山市公共资源交易中心网上交易系统,点击所要参与竞买地块,提交报名资料。出让人对报名人在网上提交的报名材料进行审查确认,经审查,申请人具备申请条件、按规定交纳竞买保证金的,方可取得竞买资格。
(四)竞买保证金到帐截止时间和报名截止时间均为2023年11月20日16时。请竞买人尽早安排保证金转账工作,资金转出后及时将转账凭证上传系统,以便及时核实。竞买保证金到账时间以银行实际进账时间为准,申请人须在截止时间前将足额的保证金交入黄山市公共资源交易中心指定的账户,不接受现金交付,竞得人无故拒签成交确认书、拒签土地出让合同的不予退回竞买保证金。
五、此次国有建设用地使用权挂牌地点设在黄山市公共资源交易中心(黄山市屯溪区社屋前路1号黄山市民中心北侧昱东大厦西区1层)。
挂牌时间:2023年11月9日8时00分至2023年11月22日15时30分;
报价时间:9时至11时30分和14时至17时(其中11月22日的报价时间为9时至11时30分和14时至15时30分止)。
六、其他需要公告的事项
(一)本次出让国有建设用地使用权不接受邮寄、电子邮件及口头竞买申请,法定节假日不接受申请报名;
(二)挂牌时间截止时,有竞买人表示愿意继续竞价的,即转入现场竞价,通过现场竞价确定竞得人;
(三)出让地块的规划意见书、县房管中心出具的房地产开发项目建设条件意见书等用地监管条件的建议函详见《挂牌出让文件》;
(四)在房屋达到交房条件后,县自然资源和规划局可提供“交房即办证”服务,土地竞得人可实现“交房即办证”;
(五)竞买保证金的币种为人民币,不接受外币竞买;
(六)本次挂牌出让的地块如有对出让范围、界址权属存有异议的,请在本公告发布之日起的15日内向祁门县自然资源和规划局提出书面意见,没有异议的,出让宗地的范围、界址权属以出让文件的规定执行。
七、出让文件下载地址
http://ggzy.huangshan.gov.cn/(黄山市公共资源交易中心)
八、报名以及系统操作咨询
(一)报名申请咨询联系人和电话:
祁门县自然资源和规划局 童先生 0559-4518423
(二)系统操作咨询联系人和电话:
黄山市公共资源交易中心 鲍女士 0559-2350071
九、特别提示
(一)请在本公告发布之日起至2023年11月20日期间办理CA数字证书。
(二)意向人应合理安排现场预审和竞买申请时间,尽量避开高峰期。
(三)竞买人(或授权委托人)请携带公章、授权委托书、《竞买资格确认通知书》等资料于2023年11月22日15时30分准时到达挂牌出让会现场,开展挂牌竞拍活动。
祁门县自然资源和规划局
2023年10月20日
声明:本文由入驻焦点开放平台的作者撰写,除焦点官方账号外,观点仅代表作者本人,不代表焦点立场。



