110.36亩,黄山中心城区1宗住宅用地挂牌!
焦点黄山 2025-08-18 15:52:37
用手机看
扫描到手机,新闻随时看
扫一扫,用手机看文章
更加方便分享给朋友
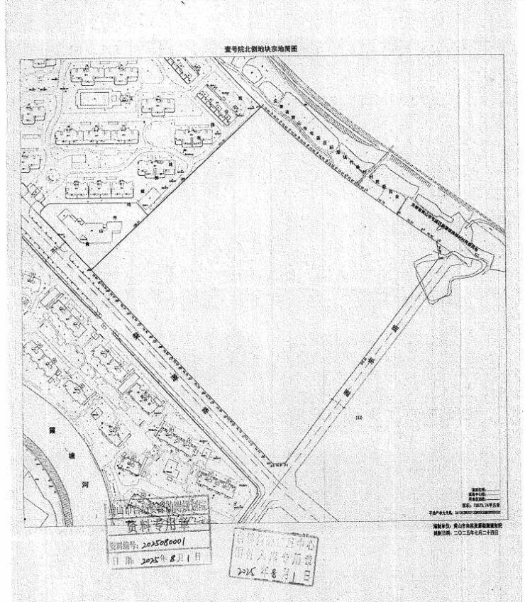
2025年8月18日,黄山高新区壹号院北侧地块(宗地编号:HSS202527)挂牌,宗地位于黄山高新区,鸿威东方雅苑小区东侧,源东路西侧、婺源路北侧。出让总面积73573.74㎡(合110.36亩),起始总价…
2025年8月18日,黄山高新区壹号院北侧住宅地块(宗地编号:HSS202527)挂牌,宗地位于黄山高新区,鸿威东方雅苑小区东侧,源东路西侧、婺源路北侧。出让总面积73573.74㎡(合110.36亩),起始总价24279.3342万元,起始单价3300元/㎡(220万元/亩),容积率1.0<R≤1.8,起拍楼面地价1833.33元/㎡,地块要求不得建筑私家庄园和别墅。拍卖时间:2025年9月19日15时30分。

声明:本文由入驻焦点开放平台的作者撰写,除焦点官方账号外,观点仅代表作者本人,不代表焦点立场。



