2022年黄山主城首宗涉宅用地挂牌,商品住宅销售备案均价14000元/㎡!
扫描到手机,新闻随时看
扫一扫,用手机看文章
更加方便分享给朋友
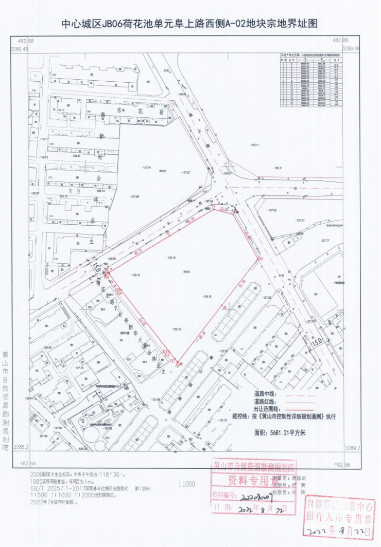
2022年8月23日,黄山中心城区JB06荷花池单元老汽车站A-01地块(宗地编号:2205)、A-02地块(宗地编号:2206)挂牌,两宗地块位于黄山中心城区原老汽车站区域,阜上路西侧。其中,A-01地块土地用途为商服,出让面积为3944.84㎡(5.91726亩)、容积率≤1.0;A-02地块土地用途为住宅,出让面积为5681.21㎡(8.521815亩)、容积率≤1.6,毛坯房商品住宅销售备案均价14000元/㎡,单套较高销售备案价14700元/㎡。
拍卖时间:2022年9月28日15时30分
起拍总价:A-01商服地块,1266.2936万元; A-02住宅地块,4542.1273万元
起拍单价:A-01商服地块,214万元/亩(固定不变,不进行竞价) A-02住宅地块,533万/亩
起拍楼面地价:A-01商服地块,3209.99元/㎡;A-02住宅地块,4996.87元/㎡





竞买人资格及条件:
1、须为公司法人,接受联合竞买(联合各方须为公司法人)。
2、2205号、2206号两宗土地以搭配方式出让,即土地竞买人须同时申请竞买上述两宗土地,同时报价、同时竞得,不单独接受上述任意一宗土地的竞买申请。
三、2205号地块出让单价214万元/亩固定不变,不进行竞价,竞买人只对2206号地块进行竞价,按照“竞地价(设保留底价、设较高限价)+摇号”两个阶段的方式进行竞价:
排名前列阶段:竞地价,设保留底价、设较高限价。在未达到较高限价情况下,较高报价不低于保留底价的,为成交价,报价人为竞得人。竞价达到较高限价时,如仍有竞买人继续竞价的,转入第二阶段。
经黄山市人民政府批准,黄山市自然资源和规划局委托黄山市公共资源交易中心以挂牌方式出让以下2宗土地的国有建设用地使用权。现将有关事项公告如下:
一、挂牌出让地块的基本情况和规划指标要求

二、竞买人资格及条件:
1、须为公司法人,接受联合竞买(联合各方须为公司法人)。
2、2205号、2206号两宗土地以搭配方式出让,即土地竞买人须同时申请竞买上述两宗土地,同时报价、同时竞得,不单独接受上述任意一宗土地的竞买申请。
三、2205号地块出让单价214万元/亩固定不变,不进行竞价,竞买人只对2206号地块进行竞价,按照“竞地价(设保留底价、设较高限价)+摇号”两个阶段的方式进行竞价:
排名前列阶段:竞地价,设保留底价、设较高限价。在未达到较高限价情况下,较高报价不低于保留底价的,为成交价,报价人为竞得人。竞价达到较高限价时,如仍有竞买人继续竞价的,转入第二阶段。
第二阶段:以摇号方式确定竞得人,土地成交价为较高限价。
四、竞买申请
(一)本次挂牌出让地块的详细资料见《挂牌出让文件》,竞买申请人可登录黄山市公共资源交易中心门户网(http://ggzy.huangshan.gov.cn)或黄山市自然资源和规划局网站(http://zrzyj.huangshan.gov.cn/)下载,也可向黄山市土地市场交易管理中心联系索取(联系电话:0559-2355597),《挂牌出让文件》及相关补充公告以黄山市自然资源和规划局网站发布的信息为准。竞买申请人须仔细阅读地块的《挂牌出让文件》,确保完全理解地块使用条件和出让要求。
(二)竞买申请人须于2022年8月24日9时至2022 年9月26日16时前进行网上报名申请。
1、办理CA数字证书。办理流程详见黄山市公共资源交易中心网站首页—服务指南—投标人专区《关于企业办理CA证书和证书延期的一次性告知书》,CA数字证书有关问题请拨打服务电话: 0559-2351030(工作日)。
2、报名申请。凭CA数字证书登录黄山市公共资源交易中心网上交易系统,点击所要参与竞买的地块,提交报名资料。
(三)竞买申请人须于2022年9月22日前到黄山市土地市场交易管理中心(屯溪区长干东路203号市自然资源和规划局225室)提交书面报名材料进行预审,然后凭CA数字证书登录黄山市公共资源交易中心网上交易系统,点击所要参与竞买地块,提交报名资料。出让人对报名人在网上提交的报名材料进行审查确认。经审查,申请人具备申请条件、按规定交纳竞买保证金的,方可取得竞买资格。
竞买保证金到帐的截止时间为2022年9月26日16时前,请竞买人尽早安排保证金转账工作,资金转出后及时将转账凭证上传系统,以便及时核实。
五、挂牌出让现场会地点设在黄山市公共资源交易中心(黄山市屯溪区社屋前路1号黄山市民中心北侧昱东大厦西区1层)。
挂牌时间:2022年9月15日至2022年9月28日;
报价时间:9时至11时30分和14时至17时(其中2022年9月28日的报价时间为9时至11时30分和14时至15时30分止)。
六、注意事项
(一)出让地块的详细情况、规划设计条件、具体要求详见《挂牌出让文件》。
(二)请竞买人务必在报名前与黄山市公共资源交易中心详细咨询网上报名系统操作相关事宜(咨询电话:0559-2350071);
(三)挂牌时间截止时,有竞买人表示愿意继续竞价的,即转入现场竞价,通过现场竞价确定竞得人。
七、如有对本次挂牌出让地块的出让范围、界址权属存有异议的,请在本公告发布之日起的15日内向黄山市自然资源和规划局提出书面意见。
八、(一)报名申请咨询联系人和电话:黄山市自然资源和规划局 吴先生、胡先生 0559-2355592、2355597
(二)系统操作咨询联系人和电话:黄山市公共资源交易中心 鲍女士 0559-2350071
(三)保证金缴纳账户:详见公告附件 。
九、出让文件下载地址:
http://zrzyj.huangshan.gov.cn/(黄山市自然资源和规划局)
http://ggzy.huangshan.gov.cn (黄山市公共资源交易中心)
黄山市自然资源和规划局
2022年8月23日
声明:本文由入驻焦点开放平台的作者撰写,除焦点官方账号外,观点仅代表作者本人,不代表焦点立场。



