歙县1宗住宅用地挂牌,起拍楼面地价1710元/㎡
扫描到手机,新闻随时看
扫一扫,用手机看文章
更加方便分享给朋友
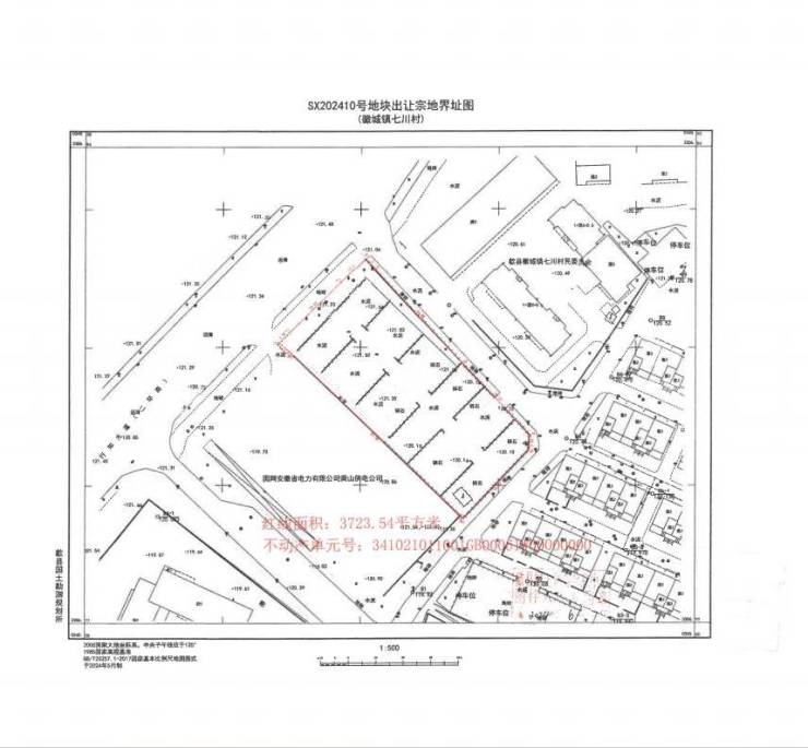
2024年8月7日,歙县Sx202410号地块挂牌,宗地位于徽城镇七川村,土地性质为住宅用地,出让总面积:3723.54㎡(合5.59亩),起始总价:1273.4507 万元,起始单价:3420元/㎡(合 228 万元/亩),起拍楼面地价:1710元/㎡。拍卖时间:2024年9月6日10时。

公告原文:
经歙县人民政府批准,歙县自然资源和规划局委托黄山市公共资源交易中心以挂牌方式出让以下 1 宗土地的国有建设用地使用权。现将有关事项公告如下:
一、挂牌出让地块的基本情况和规划指标要求。

二、竞买人资格及条件:竞买人须为公司法人或其他组织,不接受联合竞买。
三、本次国有建设用地使用权出让为无底价挂牌出让,按照价高者得原则确定竞得人。
四、竞买申请:
(一)本次挂牌出让地块的详细资料见《挂牌出让文件》,竞买申请人可登录黄山市公共资源交易中心门户网(http://ggzy.huangshan.gov.cn)下载。
(二)竞买申请人须于2024年8月7日9时至2024年9月4日15时前进行网上报名申请。
1、办理CA数字证书。办理流程详见黄山市公共资源交易中心网站首页—服务指南—投标人专区《关于企业办理CA证书和证书延期的一次性告知书》,CA数字证书有关问题请拨打服务电话: 0559-2351030(工作日)。
2、报名申请。凭CA数字证书登录黄山市公共资源交易中心网上交易系统,点击所要参与竞买的地块,提交报名资料。
(三)出让人对报名人在网上提交的报名材料进行审查确认。经审查,申请人具备申请条件、按规定交纳竞买保证金的,方可取得竞买资格。
(四)竞买保证金到账的截止时间为2024年9月4日15时前,请竞买人尽早安排保证金转账工作,资金转出后及时将转账凭证上传系统,以便及时核实。
五、挂牌出让现场会地点设在黄山市公共资源交易中心(黄山市屯溪区社屋前路1号黄山市民中心北侧昱东大厦西区1层),挂牌现场活动时间定于2024年9月6日10时。
挂牌时间:2024年8月27日至2024年9月6日;
报价时间:9时至11时30分和14时至17时00分止(其中2024年9月6日报价时间为9时至10时)。
六、注意事项
(一)挂牌时间截止时,有竞买人表示愿意继续竞价,转入现场竞价,通过现场竞价确定竞得人。
(二)出让地块的详细情况、规划设计条件、具体要求详见《挂牌出让文件》。地块最终出让面积以交地时的实测面积为准。
(三)法定节假日期间不接受申请报名等事项。
(四)如有对本次挂牌出让地块的出让范围、界址权属存有异议的,请在本公告发布之日起的15日内向歙县自然资源和规划局提出书面意见。
七、联系方式与银行账户:
(一)地块咨询联系人和电话: 歙县自然资源和规划局 吴先生 洪女士 0559-6537675;
(二)系统操作咨询联系人和电话:黄山市公共资源交易中心 鲍女士 0559-2350071;
(三)挂牌出让文件及保证金缴纳账户:详见(http://ggzy.huangshan.gov.cn)公告附件 。
歙县自然资源和规划局
2024年8月7日
声明:本文由入驻焦点开放平台的作者撰写,除焦点官方账号外,观点仅代表作者本人,不代表焦点立场。



