黟县1宗涉宅用地挂牌,总出让面积108.43亩
扫描到手机,新闻随时看
扫一扫,用手机看文章
更加方便分享给朋友
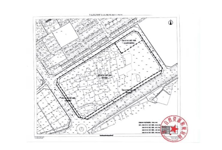
2024年10月12日,YX202408号地块(宗地位于黟县碧阳镇横岗村),总出让面积72288㎡(合108.43亩),起拍总价 12782.9545万元。其中住宅用地出让面积64345㎡(合96.52亩),容积率1.0-1.6;社会停车场用地4808㎡(合7.2亩);防护绿地3135㎡(合4.7亩),拍卖时间:2024年11月13日10时



公告原文:
一、挂牌出让地块的基本情况和规划指标要求

二、竞买人资格及条件
土地竞买人为中华人民共和国境内外的公司法人、自然人和其他组织,除法律法规政策另有规定外,均可申请参加。
三、本次国有土地使用权出让的土地为无底价挂牌出让,按照价高者得原则确定竞得人。
四、竞买申请
(一)本次挂牌出让地块的详细资料见《挂牌出让文件》,竞买申请人可登录黄山市公共资源交易中心门户网(http://ggzy.huangshan.gov.cn)下载,也可向黟县自然资源和规划局自然资源资产管理及保护利用股联系索取(联系电话: 0559-5553109)。竞买申请人须仔细阅读地块的《挂牌出让文件》,确保完全理解地块使用条件和出让要求。
(二)竞买申请人须于2024年10月12日9时至2024年11月11日10时前进行网上报名申请。
1、办理CA数字证书。办理流程详见黄山市公共资源交易中心网站首页—服务指南—投标人专区《关于企业办理CA证书和证书延期的一次性告知书》,CA数字证书有关问题请拨打服务电话: 0559-2351030(工作日)。
2、报名申请。凭CA数字证书登录黄山市公共资源交易中心网上交易系统,点击所要参与竞买的地块,提交报名资料。
(三)竞买申请人须于2024年11月11日9时前到黟县自然资源和规划局自然资源资产管理及保护利用股(黟县碧阳镇宏村大道112号)提交书面报名材料进行预审,然后凭CA数字证书登录黄山市公共资源交易中心网上交易系统,点击所要参与竞买的地块,提交报名资料。出让人对报名人在网上提交的报名材料进行审查确认。经审查,申请人具备申请条件、按规定交纳竞买保证金的,方可取得竞买资格。
(四)竞买保证金到帐的截止时间为2024年11月11日10时前,请竞买人尽早安排保证金转账工作,资金转出后及时将转账凭证上传系统,以便及时核实。
五、挂牌出让现场会地点设在黄山市公共资源交易中心(黄山市屯溪区社屋前路1号黄山市民中心北侧昱东大厦西区1层)。
挂牌时间:2024年11月4日至2024年11月13日;
报价时间:9时至11时30分和14时至17时(其中2024年11月13日的报价时间为9时至10时止)。
六、注意事项
(一)出让地块的详细情况、规划设计条件、具体要求详见《挂牌出让文件》。
(二)请竞买人务必在报名前与黄山市公共资源交易中心详细咨询网上报名系统操作相关事宜(咨询电话:0559-2350071);
(三)挂牌时间截止时,有竞买人表示愿意继续竞价的,即转入现场竞价,通过现场竞价确定竞得人。
七、如有对本次挂牌出让地块的出让范围、界址权属存有异议的,请在本公告发布之日起的15日内向黟县自然资源和规划局提出书面意见。
八、联系方式与银行账户
(一)报名申请咨询联系人和电话:
王先生 联系电话:0559-5553109 黟县自然资源和规划局(黟县宏村大道112号)
(二)系统操作咨询联系人和电话:
鲍女士 联系电话:0559-2350071 黄山市公共资源交易中心
(三)保证金缴纳账户:详见公告附件
黟县自然资源和规划局
2024年10月12日
声明:本文由入驻焦点开放平台的作者撰写,除焦点官方账号外,观点仅代表作者本人,不代表焦点立场。



