安徽嘉域建设投资发展有限公司成功竞得黄山高新区壹号院北侧地块
焦点黄山 2025-09-22 08:47:27
用手机看
扫描到手机,新闻随时看
扫一扫,用手机看文章
更加方便分享给朋友
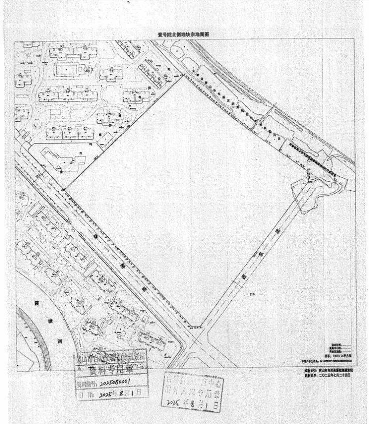
9月19日,黄山高新区壹号院北侧住宅地块(宗地编号:HSS202527)由安徽嘉域建设投资发展有限公司底价竞得,成交总价24279.3342万元,成交单价3300元/㎡(220万元/亩),成交楼面地价1833…
9月19日,黄山高新区壹号院北侧住宅地块(宗地编号:HSS202527)由安徽嘉域建设投资发展有限公司底价竞得,成交总价24279.3342万元,成交单价3300元/㎡(220万元/亩),成交楼面地价1833.33元/㎡,无溢价。

地块详情:
黄山高新区壹号院北侧住宅地块(宗地编号:HSS202527)挂牌,宗地位于黄山高新区,鸿威东方雅苑小区东侧,源东路西侧、婺源路北侧。出让总面积73573.74㎡(合110.36亩),起始总价24279.3342万元,起始单价3300元/㎡(220万元/亩),容积率1.0<R≤1.8,起拍楼面地价1833.33元/㎡,地块要求不得建筑私家庄园和别墅。

声明:本文由入驻焦点开放平台的作者撰写,除焦点官方账号外,观点仅代表作者本人,不代表焦点立场。



