休宁县溪口镇1宗6.51亩商服用地挂牌出让,起拍楼面地价637.13元/㎡
扫描到手机,新闻随时看
扫一扫,用手机看文章
更加方便分享给朋友
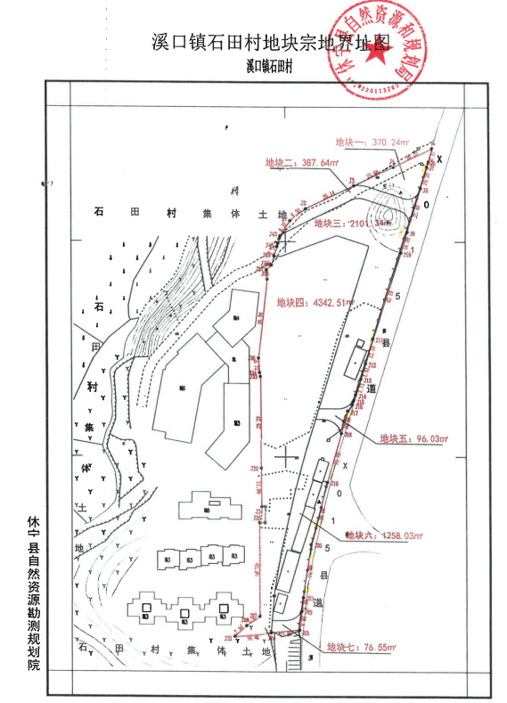
2025年8月5日,休宁县溪口镇石田村1宗商住用地(宗地编号:XNX202509号)挂牌出让,出让面积4342.51㎡(合6.51亩),容积率1.0-1.2(商业建筑面积不小于地上总建筑面积的50%),起始出让总价332.01万元,土地单价为51万元/亩(764.56元/㎡),起拍楼面地价637.13元/㎡。拍卖时间:2025年9月3日15时30分。


公告原文:
经过休宁县人民政府批准,休宁县自然资源和规划局委托黄山市公共资源交易中心以挂牌方式出让1宗国有建设用地使用权,现将有关事项公告如下:
一、挂牌出让地块基本情况和规划指标要求

二、竞买人资格及条件
(一)须为公司法人,不接受联合竞买,不接受自然人参与竞买。
(二)该宗地块与委托黄山市公共资源交易中心休宁县分中心挂牌出让的XNX202506、XNX202507、XNX202508、XNX202510、XNX202511、XNX202512号地块为整体出让,竞买人须同时参与七宗地块的竞买,且须同时竞得七宗地块,不得单独竞买或竞得其中一宗地块。
(三)地块不得用于建设别墅与私家庄园
三、VEP(特定地域单元生态产品价值)相关要求
(一)根据黄山市国家生态产品价值实现机制试点城市相关工作要求,休宁县发展和改革委员会于2025年6月委托第三方机构对上述七宗地块生态价值进行核算,确定生态价值出让起始价为11.85万元(生态价值溢价与地块增加幅度保持一致)。
(二)企业竞拍上述七宗地块国有建设用地使用权时,需同步参与生态价值的竞拍。生态价值费用缴纳时间与土地出让金缴纳时间保持一致,需在出让合同签订后的三十日内完成缴纳。
(三)生态价值出让金缴款账户:收款单位为休宁县财政局;开户行和账号分别为中国农业银行休宁县支行,12667001040006480。(缴款时需备注:休宁县发展改革委,溪口镇XKZQ单元S214、X018交叉口XNZQ-04地块一至地块七生态价值出让金。)
四、本次国有建设用地使用权挂牌出让为无底价挂牌出让,按照价高者竞得原则确定竞得人。
五、竞买申请
(一)本次挂牌出让地块的详细资料见《挂牌出让文件》,竞买申请人可登录黄山市公共资源交易中心门户网(http://ggzy.huangshan.gov.cn)下载。
(二)竞买申请人须于2025年8月5日8时至2025年9月1日16时前进行网上报名申请。
1、办理CA数字证书。办理流程详见黄山市公共资源交易中心网站首页—服务指南—投标人专区《关于企业办理CA证书和证书延期的一次性告知书》,CA数字证书有关问题请拨打服务电话: 0559-2351030(工作日)。
2、报名申请。凭CA数字证书登录黄山市公共资源交易中心网上交易系统,点击所要参与竞买的地块,提交报名资料。
(三)出让人对报名人在网上提交的报名材料进行审查确认。经审查,申请人具备申请条件、按规定交纳竞买保证金的,方可取得竞买资格。
(四)竞买保证金到帐的截止时间为2025年9月1日16时前,请竞买人尽早安排保证金转账工作,资金转出后及时将转账凭证上传系统,以便及时核实。
六、挂牌出让现场会地点设在黄山市公共资源交易中心(黄山市屯溪区社屋前路1号黄山市民中心北侧昱东大厦西区1层)。
挂牌时间:2025年8月25日至2025年9月3日;
报价时间:9时至11时30分和14时至17时(其中2025年9月3日的报价时间为8时至11时30分和14时至15时30分止)。
七、注意事项
1、出让地块的详细情况、规划设计条件、具体要求详见《挂牌出让文件》。
2、挂牌时间截止时,有竞买人表示愿意继续竞价,转入现场竞价,通过现场竞价确定竞得人。
3、本次出让国有建设用地使用权不接受邮寄、电子邮件及口头竞买申请。
4、法定节假日不接受申请报名。
八、如有对本次挂牌出让地块的出让范围、界址权属存有异议的,请在本公告发布之日起15日内向休宁县自然资源和规划局提出书面意见;没有异议的,出让宗地的范围、界址权属按出让文件的规定执行。
九、联系方式:
(一)地块咨询联系人和电话:休宁县自然资源和规划局
联系电话:0559-7516268 联 系 人:曹先生
(二)系统操作咨询联系人和电话:黄山市公共资源交易中心
联系电话:0559-2352021 联 系 人:徐女士
十、保证金缴纳账户
详见公告附件
休宁县自然资源和规划局
2025年8月5日
声明:本文由入驻焦点开放平台的作者撰写,除焦点官方账号外,观点仅代表作者本人,不代表焦点立场。



