杭州大家房产竞得原绿洲宾馆地块,深耕黄山又落一子!
扫描到手机,新闻随时看
扫一扫,用手机看文章
更加方便分享给朋友
搜狐焦点黄山站讯:继4月3日斩获黄山主城老汽车站地块后,杭州大家房产(杭州毓发实业有限公司)在黄山主城又落一子,以总价12030.74万元摘得原绿洲宾馆地块(2006号地块),成交楼面地价为8593元/㎡。
4月23日下午,黄山中心城区原绿洲宾馆地块(2006号地块)拍卖仪式在黄山市公共资源交易中心举行。黄山置地投资有限公司、黄山市金太阳置业投资集团有限公司、黄山市富徽城市综合开发有限公司、杭州毓发实业有限公司(大家房产),共4家公司参与竞拍,最终由杭州毓发实业有限公司(大家房产)竞得。原绿洲宾馆地块(纯住宅用地),成交总价为12030.74万元,成交单价802万元/亩,成交楼面地价为8593元/㎡,溢价率30%。
杭州毓发置业有限公司,属杭州市城建开发集团(大家房产)旗下。作为一家成长型房企,大家房产自1982年创立以来,一直坚守“慎思于心,精细于行”的品质理念,凭借过硬的产品品质、良好的品牌形象,在房地产界备受赞誉,荣获“2020中国房地产百强企业”称号。
大家房产坚持“深耕杭州,辐射长三角,走向全中国”的总体发展战略,在坚守杭州大本营的同时,不断拓展新城市及下属县市新市场,通过深耕塑造品牌,快速形成销售。
图:大家房产项目分布图
自2004年,大家房产落子黄山区,至今已在黄山区深耕十多年。如今,大家房产开始进驻黄山主城区,仅4月,已先后斩获老汽车站地块和原绿洲宾馆地块。
作为杭州本土品牌房企,大家房产注重产品品质,在不断的产品研发与历练中,提出“五比五好”的产品哲学,即“实景要比效果图好、交付要比样板好、软件要比硬件好、做的要比说的好、今天要比昨天好”。
大家房产从建筑景观规划、户型尺度、居住功能、考究工艺等角度延续标准,持续个性升级,让更多家庭受益于精工精筑的大家质感。正是因为大家房产对品质的坚持,对精工的执着,以“匠心”筑“精品”,其进驻的每一座城市都成为推动城市人居迭代的先进筑作。
图:大家房产住宅作品
期待,大家房产为黄山主城区带来深入人心的作品。
地块简评:
黄山中心城区原绿洲宾馆地块(2006号地块),是黄山市人民政府驻地,片区发展成熟,各项配套均十分完善。紧邻城市主干道长干东路,交通便捷;周边有幸福园、长城花园、前园公寓、世纪花园等成熟住宅区,居住氛围浓厚;地块南侧即为新安江畔,周边有世纪广场、上新民族团结小公园等休闲去处。
地块详情:
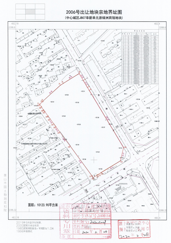
黄山中心城区原绿洲宾馆地块(2006号地块),位于屯溪区阜上路西侧、长干路北侧,为纯住宅用地。宗地出让面积10123.9㎡(15.19亩),容积率≤1.4,起拍楼面地价6642.86元/平方米。要求以小高层为主,建筑高度控制在35米以内。



声明:本文由入驻焦点开放平台的作者撰写,除焦点官方账号外,观点仅代表作者本人,不代表焦点立场。



